


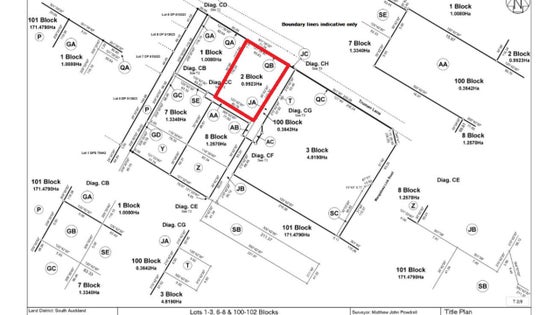
+6• Area (approx.): 9923sqm land area
• Located on the popular Truman Road, this Industrial zoned land is available for Lease with long-term ground lease for design build option or yard space.
• Block 1 is 10,080sqm and Block 2 is 9,923sqm or combined is 20,003sqm
• Security fenced frontage with shared access way off Truman Road
• 2 lots available, or available as one large lot with road frontage to Truman Road
• Neighbours include well known businesses including Mainfreight, HEB Construction & McLeod Cranes
• Available now - Talk to us about your requirements.
Call the Agents to discuss your options!
