


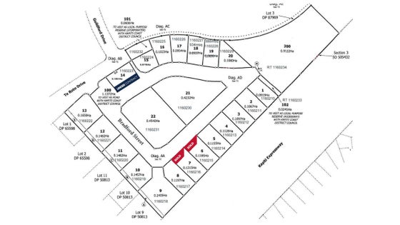
+5• The last available industrial land in central Paraparaumu
• Excellent progress on site, roads are laid and services are connected
• Industrial Zoning ideal for trades, logistics, warehousing, manufacturing & services
• High-visibility location with motorway exposure and ease of access to SH1
• Competitively priced options tailored to fit your business needs
• Total flexibility with opportunities to purchase or lease a custom design & build option
• No building company restrictions
• Surrounded by complimentary and established industries
• Landscaped entrance & plantings, riparian margins, and stormwater treatment
• Close proximity to retail amenities and a robust, established labour force
Bradford Street subdivision offers an unparalleled opportunity for industrial lots seldom seen in Paraparaumu, making it a compelling choice for businesses seeking location, flexibility, and a high growth potential.
Contact Simon or Johnny for a full available schedule and price list. Titles have been issued - don't miss out!


Our agents are experts on all things in the property market, if you haven't found what you're looking for, please enquire with the listing agent now to have all of your property questions answered.
Contact us and have your questions answered.
Use the download button below to view all available documents for this property.