


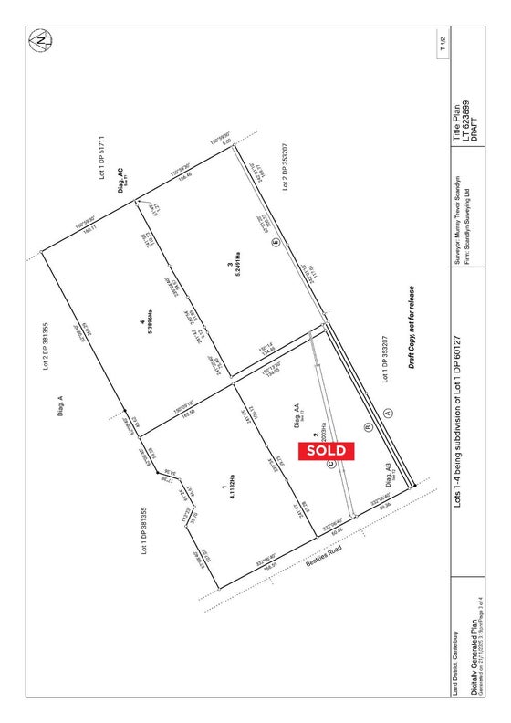
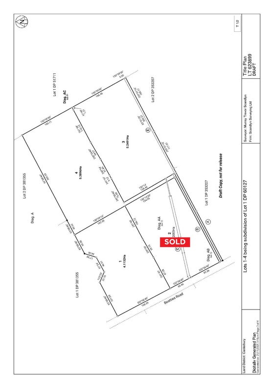
+3Lot 2 - SOLD
Lot 3 - $649,000
Lot 4 - $675,000
Set on sought-after Beatties Road, these bare land lots showcase some of the very best that Ashley Downs has to offer. A rare chance to secure a premium lifestyle block where privacy, character, and practicality come together.
Gently rolling contour, established shelter, mature trees, and well-placed buildings create the perfect canvas to build your dream home with instant appeal.
• Two exceptional 4-hecatre lots
• Resource consent issued, titles expected approximately May 2026
• Power and water to each lot
Convenient location, under 10 minutes to Rangiora and a short commute to Christchurch City
Opportunities like this are few and far between — get in touch today for full details or to arrange a viewing.
For further information: https://www.propertyfiles.co.nz/property/5528830
*Red boundary lines are indicative only*



Our agents are experts on all things in the property market, if you haven't found what you're looking for, please enquire with the listing agent now to have all of your property questions answered.
Contact us and have your questions answered.